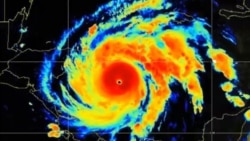
El huracán Iota subió este lunes a categoría 5, la máxima en la escala Saffir Simpson, mientras se aproximaba a las costas de Centroamérica, informó el Centro Nacional de Huracanes de EEUU (NHC).
Se prevé que el peligroso ciclón toque tierra esta noche, señaló el NHC en su pronóstico de las 1:00 PM. Se espera que la tormenta traiga "vientos catastróficos, marejada ciclónica amenazante a la vida e impactos de lluvia extrema a América Central", añade el reporte.
"En la trayectoria pronosticada, el centro de Iota tocará tierra en el área bajo aviso de huracán en el noreste de Nicaragua y el este de Honduras esta noche", y se espera un debilitamiento rápido luego.
Un Aviso de Huracan entró en efecto para la costa de Nicaragua, desde la frontera entre Honduras y Nicaragua hasta Sandy Bay Sirpi, y para la costa del noreste de Honduras, desde Punta Patuca hasta la frontera entre Honduras y Nicaragua.
El huracán presenta vientos máximos sostenidos de 260 kilómetros por hora (160 m/h) con ráfagas más fuertes. Los vientos con fuerza de huracán se extienden hasta 35 millas (55 km) del centro, y los vientos con fuerza de tormenta tropical se extienden hasta 150 millas (240 km) desde el exterior, apuntó el NHC.
El gobierno de Honduras ha emitido un Aviso de Tormenta Tropical para la costa norte de Honduras deste el oeste de Punta Castilla hasta la frontera entre Honduras y Guatemala, incluyendo las Islas de la Bahia, dijo el NHC.
 
 
 
 
 
 
 
